UK weather forecast: Late heatwave to strike after extratropical cyclone batters Britain with heavy rain and wind

Britain is bracing for an extratropical cyclone to strike the UK this weekend as heavy rain and high winds are expected to hit
| Tropical Tidbits
The UK will be blasted with warmer temperatures early next week as high pressure brings drier conditions
Don't Miss
Most Read
Latest
Britain is bracing for an extratropical cyclone to strike the UK this weekend as heavy rain and high winds are expected to hit.
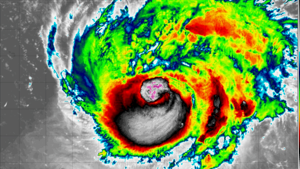
Hurricane Nigel, which formed in the Atlantic late on Saturday, has intensified into a Category 1 hurricane early on Monday.
The fast-spaced storm that is set to rapidly intensify to a Category 3 major hurricane by later today –meaning it will have sustained winds of at least 111mph.
But Founder and Senior Meteorological Consultant at British Weather Services, Jim Dale explained that it won't be a hurricane by time it reaches Britain, but will hit as a extratropical storm.
Speaking to GB News, he said: "Currently there are sustained winds of around 70mph in the mid Atlantic and the course of it is not expected to make landfall.
"By the weekend it was have passed the jet stream and will push through Ireland and will bring characteristics of a normal storm such as strong winds and heavy rain.
"The storm will likely impact the North West England and Scotland the worst, this is where it will be felt most.
"The majority of the UK will see the remnants of the hurricane but it won't be as significant."
LATEST DEVELOPMENTS:
Following the damp weather, the UK will be blasted with warmer temperatures early next week as high pressure brings drier conditions.
Dale added: "Storms such as this is written on the can for this time of year, so they're not unusual.
"Temperatures could rise to around 22/23C mark in the south of England from Tuesday next week as high pressure move from the south.
"It will mean the start of the Autumn season will be much warmer compared to now and a lot more settled."

The fast-spaced storm that is set to rapidly intensify to a Category 3 major hurricane by later today –meaning it will have sustained winds of at least 111mph
|WXCHARTS
According to weather experts, the increasing number of storms this year is partly due to an El Niño pattern.
The National Oceanic and Atmospheric Administration (NOAA) had predicted that there would be 14 to 21 named storms this year.
Nigel developed shortly after Hurricane Lee landed in Nova Scotia as a post-tropical storm and it is the 14th named storm to form in the Atlantic in 2023.










